Mua bán đất Thành phố Vinh mặt tiền rộng, hình thửa đẹp T11/2025

Tìm BĐS
Hiện có 164 tin mua bán đất Thành phố Vinh mặt tiền rộng, hình thửa đẹp T11/2025
Bán nhà mặt phố Nguyễn Khánh Toàn, Lô góc 2 mặt tiền, vỉa hè 3 hàng xe 100m², DT 80tr/th, 55,5 tỷ TIN VIP 2

Bán nhà mặt phố Nguyễn Khánh Toàn, Lô góc 2 mặt tiền, vỉa hè 3 hàng xe 100m², DT 80tr/th, 55,5 tỷ

Bán nhà mặt phố Nguyễn Khánh Toàn, Cầu Giấy tuyến phố trung tâm, sầm uất bậc nhất Hà Nội. Nhà lô góc 2 mặt tiền, diện tích gần 100m², vỉa hè siêu rộng, cho thuê 80 triệu/tháng, giá bán chỉ 55,5 tỷ. Liên hệ Ms. Giang 0943 246 086 - Vị trí vàng Phố trung tâm Cầu Giấy + Nhà nằm ngay mặt phố ...
Bán đất đấu giá Khối 1 Vinh Tân quy hoạch rất đẹp

Bán đất đấu giá Khối 1 Vinh Tân quy hoạch rất đẹp

Đất đấu giá Khối 1 Vinh Tân.Tài chính chỉ hơn 2 tỷ một xíu có ngay lô đất cực kỳ đẹp, vuông vức, kích thước xây dựng rất lý tưởng 6x18m (108 m²). Đường nhựa rộng 10,5m, vĩa hè, đèn cao áp, cơ sở hạ tầng đồng bộ, thông thoáng, mua ở hay đầu tư cực kỳ an toàn và tiềm năng, pháp lý rỏ ràng, bìa cá ...
Bán đất mặt đường Tống Duy Tân gần đường Hải Thượng Lãn Ông chỉ 1 lô duy nhất bán

Bán đất mặt đường Tống Duy Tân gần đường Hải Thượng Lãn Ông chỉ 1 lô duy nhất bán

Bán đất mặt đường Tống Duy Tân gần đường Hải Thượng Lãn Ông chỉ 1 lô duy nhất bán.Ngay Dự án Golden City 1 phường Hà Huy tập.+ Diện tích: 144m², rộng 8m.+ Hướng Tây Nam.+ Gần đường Hải Thượng Lãn Ông.+ Hộ khẩu Hà Huy Tập, mặt đường kinh doanh tốt. Vừa có thể làm phòng khám, văn phòng công ty.+ Khu ...
Bán đất tái định cư khối 7 quán bàu đường 12m gần Lê Ninh mặt đường Võ Trọng Ân

Bán đất tái định cư khối 7 quán bàu đường 12m gần Lê Ninh mặt đường Võ Trọng Ân

Bán đất tái định cư khối 7 quán bàu đường 12m gần Lê Ninh mặt đường Võ Trọng Ân.+ Diện tích: 98m² (4,9m x20m).+ Hướng: Bắc.+ Đường: 12m(có vỉa hè) đèn đường, mương máng quy hoạch đẹp đồng bộ.+ Vị trí: Gần Lê Ninh tiềm năng tăng giá tương lại, đường lệ ninh mở rộng.+ Đất sổ đỏ 100%, xây dựng tự do, ...
Bán đất mặt đường kinh doanh Đại lộ Lê Nin kinh doanh mọi mặt hàng sổ đỏ 100%

Bán đất mặt đường kinh doanh Đại lộ Lê Nin kinh doanh mọi mặt hàng sổ đỏ 100%

Bán đất mặt đường kinh doanh Đại lộ Lê Nin kinh doanh mọi mặt hàng sổ đỏ 100%.+ Diện tích: 188m² (có 2 lô liền nhau bán rộng gần 20m).+ Mặt tiền: 9,4m.+ Hướng Tây Nam.+ Vị trí kinh doanh vàng tại trung tâm TP. Vinh, gần đường đại lộ 72m.+ Gần trung tâm thương mại Lotte Mart và các bệnh viện lớn, rất ...
Đất đấu giá Đức Vinh Hưng Lộc gần các trường đại học cao đẳng. DT: 119m2 hướng Đông Bắc, đường 15m

Đất đấu giá Đức Vinh Hưng Lộc gần các trường đại học cao đẳng. DT: 119m2 hướng Đông Bắc, đường 15m

Bán đất biệt thự khu đấu giá Đức Vinh - Hưng Lộc.- Diện tích: 7 x 17 (119m²).- Giá: 2 tỷ 950 triệu.- Đường 15m có vỉa hè.- Hướng: Đông bắc.- Đất khu đấu giá không lỗi phong thuỷ, xung quanh đang xây nhà, gần các trường Sư Phạm, đại học Y, trường Du Lịch.-* Liên hệ 0937 246 799 đi xem thực tế.- Khách ...
Bán đất dự án Golden City 6 bên cạnh trung tâm thương mại Lotte Mart cam kết giá rẻ nhất khu vực

Bán đất dự án Golden City 6 bên cạnh trung tâm thương mại Lotte Mart cam kết giá rẻ nhất khu vực

Bán đất dự án Golden City 6 bên cạnh trung tâm thương mại Lotte Mart cam kết giá rẻ nhất khu vực.+ Bán lô duy nhất hướng Tây Bắc 143,5m², rộng 7m.+ Đường vào Lý Tự Trọng 30m.+ Đường nội bộ 12m.+ Xung quanh xây nhà rất đẹp, dân trí cao.+ Gần công viên, nhà văn hóa, thoáng mát.+ Đã có sổ đỏ bìa từng ...
Bán đất đấu giá khối 7 Quán Bàu đường 12m gần Lê Ninh mặt đường Võ Trọng Ân

Bán đất đấu giá khối 7 Quán Bàu đường 12m gần Lê Ninh mặt đường Võ Trọng Ân

Bán đất đấu giá Khối 7 Quán Bàu đường 12m gần Lê Ninh mặt đường Võ Trọng Ân.+ Diện tích: 152m², rộng 7,5m.+ Hướng: Bắc.+ Đường: 12m(có vỉa hè) đèn đường, mương máng quy hoạch đẹp đồng bộ.+ Vị trí: Gần Lê Ninh tiềm năng tăng giá tương lại, đường lệ ninh mở rộng.+ Đất sổ đỏ 100%, xây dựng tự do, vay ...
Bán đất lối 2 Đường Lê Ninh, Phường Quán Bàu, Vinh, Nghệ An giá tốt

Bán đất lối 2 Đường Lê Ninh, Phường Quán Bàu, Vinh, Nghệ An giá tốt

Bán đất lối 2 Đường Lê Ninh, Phường Quán Bàu, Vinh, Nghệ An giá tốt====Thông tin cơ bản* Pháp lý: Sổ đỏ/Sổ hồng* Hướng cửa chính: Đông* Chiều ngang mặt tiền: 7 m* Chiều rộng ngõ trước: 12 m* Diện tích: 141 m2Mô tả chi tiết* Đất nằm tại vị trí đắc địa, thuận lợi cho việc xây dựng nhà ở hoặc đầu tư.* ...
Bán đất mặt đường Quốc Lộ 46A (Kim Liên) xóm 8 Hưng Chính 200m2 giá chỉ hơn 6 tỷ cho thuê tốt

Bán đất mặt đường Quốc Lộ 46A (Kim Liên) xóm 8 Hưng Chính 200m2 giá chỉ hơn 6 tỷ cho thuê tốt

Bán đất mặt đường Quốc Lộ 46A (Kim Liên) xóm 8 Hưng Chính 200m² giá chỉ hơn 6 tỷ cho thuê tốt+ Diện tích: 200 m², rộng 8m.+ Hướng Nam chếch Tây.+ Bìa mới cấp đổi mới.+ Trên đất đang có 2 ốt và 1 nhà cấp 4 nhỏ cho thuê 3 tr/tháng.+ Bìa vuông vắn.+ Đường Quốc Lộ 46A có kế hoạch mở rộng nên rất tiềm ...
Bán đất mặt đường 72m Quán Bàu vừa kinh doanh vừa cho thuê giá rẻ nhất khu vực đầu tư tốt

Bán đất mặt đường 72m Quán Bàu vừa kinh doanh vừa cho thuê giá rẻ nhất khu vực đầu tư tốt

Bán đất mặt đường 72m Quán Bàu Khối 7 kinh doanh tốt vỉa hè rộng giá rẻ nhất khu vực.+ Diện tích: 150m², rộng 7m.+ Hướng Bắc.+ Đường rộng 72m., vỉa hè rộng gần 10m tha hồ để xe và trưng bày sản phẩm+ Kinh doanh nhà hàng, khách sạn, quán cafe, mở công ty...+ Gần vòng xuyến, Mai Hắc Đế, Nguyễn Trãi.+ ...
Bán đất lối 2 đường Trần Đình San (đường 8B) hướng Tây Bắc giá tốt nhất khu vực đối diện công viên

Bán đất lối 2 đường Trần Đình San (đường 8B) hướng Tây Bắc giá tốt nhất khu vực đối diện công viên

Bán đất lối 2 đường Trần Đình San (đường 8B) hướng Tây Bắc giá tốt nhất khu vực đối diện công viên+ Diện tích: 100m², rộng 5m, dài 20m vuông vức.+ Đường 6m thông thoáng.+ Hướng Tây Bắc.+ Lối 2 Trần Đình San.+ Kết nối qua khu đấu giá mới.+ Hạ tầng đẹp.+ Cách chợ Vinh 1km.+ Sổ đỏ xây nhà tự do, vay ...
Bán lô hướng Tây Bắc khu đấu giá cũ Khối 2, Vinh Tân lối 2 Trần Đình San (đường 8B)

Bán lô hướng Tây Bắc khu đấu giá cũ Khối 2, Vinh Tân lối 2 Trần Đình San (đường 8B)

Bán lô hướng Tây Bắc khu đấu giá cũ Khối 2, Vinh Tân lối 2 Trần Đình San (đường 8B).+ Diện tích: 200m², rộng 10m.+ Chia đôi được 2 lô diện tích đẹp.+ Hương Tây Bắc.+ Lối 2 đường Trần Đình San (đường 8B).+ Nối lên khu đấu giá mới.+ Đường 6m.+ Gần khu đấu giá tiếp theo.+ Gần đường Phạm Hồng Thái.+ ...
Bán đất kinh doanh mặt đường 72m khối 7 Quán Bàu xây dựng kinh doanh tự do

Bán đất kinh doanh mặt đường 72m khối 7 Quán Bàu xây dựng kinh doanh tự do

Bán đất kinh doanh mặt đường 72m khối 7 Quán Bàu xây dựng kinh doanh tự do.+ Diện tích: 100m², rộng 5m, dài 20m.+ Hướng Bắc.+ Vỉa hè 5m, đất lưu không rộng thoải mái.+ Hệ thống đèn đường mương thoát quá ok.+ Vị trí trung tâm Quán Bàu.+ Giá chỉ bằng 1 nửa Nghi Phú.+ Đất kinh doanh, xây khách sạn, mở ...
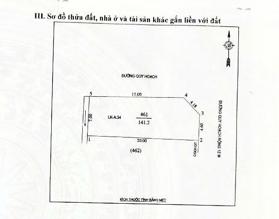
Lô góc đấu giá 2 mặt thoáng giá 5,9 tỷ tại khối 9 Quán Bàu, xây tự do. Khu dân cư dân trí cao

Lô góc đấu giá 2 mặt thoáng giá 5,9 tỷ tại khối 9 Quán Bàu, xây tự do. Khu dân cư dân trí cao

Giá 5,9 tỷ VND cho mảnh đất tại Đường Lê Ninh, Phường Quán Bàu, Vinh, Nghệ An, diện tích 141.2 m².======Đặc điểm nổi bật:- Hướng Đông và bắc. Đường 12m.- Pháp lý rõ ràng đảm bảo an toàn cho giao dịch.- Diện tích 141.2 m² rộng 7m.Liên hệ ngay qua số 0937 246 799 để xem thực tế.* Khách hàng có nhu cầu ...
Bán lô đất vị trí vàng ngay khu đô thị Handico Vinh Tân

Bán lô đất vị trí vàng ngay khu đô thị Handico Vinh Tân

Bán lô đất vị trí vàng ngay khu đô thị Handico Vinh Tân.- Diện tích: 183,58m² rộng 9 x 21m.- Đường rải nhựa 12m thông thoáng.- Dân cư bao quanh nhiều biệt thự lớn và gần Trường Mầm Non Quốc Tế Vip, trước mặt đất là không viên cây xanh và nhà văn hoá khu thể thao.- Hướng Đông tứ mệnh.Khu dân cư đẹp ...
Bán đất xây biệt thự hơn 1700 m2 góc 3 mặt đường lối 2 đường đại lộ 72m Quán Bàu

Bán đất xây biệt thự hơn 1700 m2 góc 3 mặt đường lối 2 đường đại lộ 72m Quán Bàu

+ Tổng diện tích: 1750 m² rộng 50 m, dài 40m.+ Lô đất 3 mặt đường hiếm có ở quán bàu.+ Đường 15m có vỉa hè, rải thảm, đèn đường thông thoáng xung quanh toàn biệt thự vip.+ 3 hướng chính: Đông, Nam, Bắc.+ Lô đất đặc biệt nằm đối diện công viên cây xanh hơn 3,600m² rộng thoáng đãng.+ Thuộc lối 2 đường ...
Bán đất đấu giá xóm 5, Nghi Phú đường rộng 16m lô góc hướng Tây Nam giá tốt đất cực đẹp

Bán đất đấu giá xóm 5, Nghi Phú đường rộng 16m lô góc hướng Tây Nam giá tốt đất cực đẹp

Bán đất đấu giá xóm 5, Nghi Phú đường rộng 16m lô góc hướng Tây Nam giá tốt+ Diện tích: 131m², rộng 8m.+ Hướng Tây Nam.+ Đường rộng 16m, ngay góc ngã tư làm nhà thoáng đẹp, có thể kinh doanh quán cafe+ Khu đấu giá đẹp quy mô rộng lớn.+ Gần Trương Văn Lĩnh, Nguyễn Văn Tố.+ Gần ngay đại lộ 72m.+ Khu ...